NW Orchard View Rd, McMinnville, OR 97128
McMinnville, OR 97128
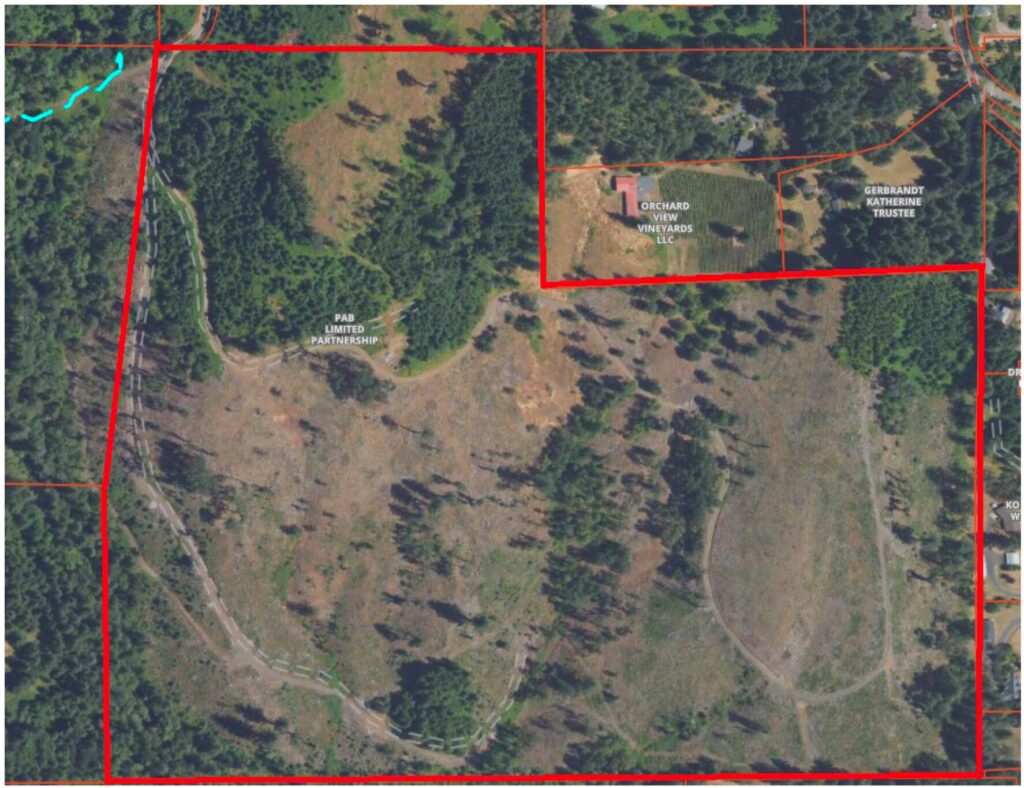
Discover an exceptional 109-acre opportunity in the heart of wine country. Nestled along NW Orchard View Rd in McMinnville, this expansive timber and vineyard-potential property offers a rare blend of privacy, natural beauty, and agricultural promise. The land features partially replanted timber with additional seedlings on deposit for January planting, providing long-term growth and income potential. Its southwest-facing slopes and well-regarded soils make it ideally suited for future vineyard development—an attractive prospect in one of Oregon’s most sought-after AVA regions.
Accessed through the gated Orchard View Ridge community at 16233 NW Orchard View Rd, the property enjoys both seclusion and convenience. Whether you envision expanding timber production, establishing a premium vineyard, or securing a long-term land investment, this site delivers extraordinary potential in an unbeatable location.
, Land
Location
NW Orchard View Rd
McMinnville, OR 97128
